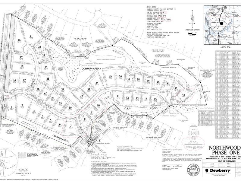
Approved 43 Lot Spanish Fort
100 Hwy 225 : Spanish Fort, AL 36527
Baldwin County, Alabama
Ranch Description
This 48 lot Spanish Fort subdivision is approved and virtually turnkey for a developer. Seller will provide all engineering upon request and with agreeable offer, Seller will also include installation of certain aspects of the infrastructure required contact agent for details. The property has 1,380+/- feet of road frontage on Highway 225 on its west side and 1,200+/- feet of water frontage on a large lake to the north. It adjoins the premier Stillwater neighborhood on the south and The Lakes & Wilkins Creek neighborhoods on the north, with multiple stub outs from those neighborhoods tying into the property if needed. It's located 4 minutes north of Spanish Fort Elementary and minutes from numerous other schools, 7 minutes north of I-10, 18 minutes from downtown Mobile, 20 minutes from Fairhope, less than an hour from multiple beaches, and only 3 minutes from the nearest boat launch into the Mobile Delta and Mobile Bay. Merchantable timber is also present across the property, which you can harvest to help offset development costs. Need more land An additional, adjoining 200+/- acres is available, some with deep water frontage on Bay Minette Creek, and partially engineered with a Phase 2 providing an additional 82 lots across 52+/- of those 200+/- acres this portion is available to purchase separately as well. Opportunities like this one are rare, especially in one of the largest paths of growth in Baldwin County, the fastest-growing county in Alabama, and one of the largest MSAs in the United States. Don't miss it.
Ranch Maps
More Ranch Details
More Ranches from Clint Flowers, ALC
635 AC : $9.84M
1,225 AC : $11.5M
2,420 AC : $6.05M
480 AC : $929K
689 AC : $2.26M
689 AC : $2.26M
620 AC : $1.15M
799 AC : $2.4M
799 AC : $2.4M
40 AC : $440K
518 AC : $8.03M-
20 AC : $350K




















